Wellington, the capital of New Zealand, has taken promising first steps toward a cycling network inspired by the Dutch principles of sustainable safety. Lennart Nout, director of Mobycon Pacific, shares his take after a recent visit.
My first work trip for Mobycon Pacific took me to Wellington, the coolest little capital with the best tag line: Absolutely Positively Wellington. While it’s not naturally conducive to a great cycling mode share (it’s known for its wind and hills), Wellington has been making some bold moves in the realm of cycling infrastructure. Curious to see Wellington’s new cycling infrastructure for myself, I was fortunate to be shown around by Alex Dyer, Chair of Cycling Action Network NZ.
Wellington finds itself at a pivotal moment in its cycling evolution. The past few years have seen major improvements in suburban bike infrastructure, although a lot of political capital was spent getting those projects through. The results? Many suburban areas now boast a respectable bike mode share. The city seems ready to enter its next phase of network development.






What surprised me most was the contrast between the suburbs and the city centre. Downtown Wellington, despite its vibrancy, lacks critical cycling infrastructure. Buses dominate many of the central corridors, and key connections for cyclists are glaringly absent. Yet, people still ride — a clear sign of strong latent demand. Head into the suburbs, and the story changes: connections are better, safer, and more inviting.
The “lighter, quicker, cheaper” model has worked well to get projects on the ground, and to win the fight for space. But the time has come to shift gears. If Wellington wants to go from makeshift to meaningful, it’s time to invest in permanent, high-quality infrastructure.
How the city approaches these next steps will be crucial for the future of cycling in Wellington. The current mayor, Tory Whanau (read more about her in our Women Mayors blog post) who was instrumental in many of the recent cycling advances, is not running for re-election. The question now is: will the next mayor have the vision and political will to push forward with creating safer streets? Because there’s still a lot of work to be done.

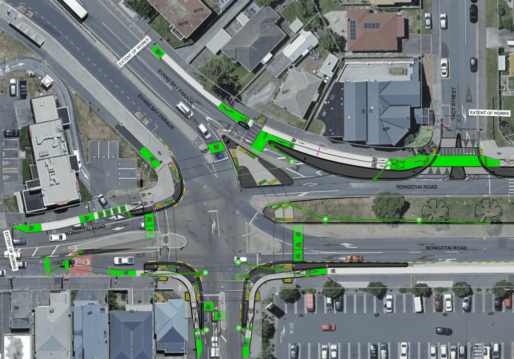
After a day on two wheels, my takeaway is this: cycling in Wellington is currently a bit of a smorgasbord. There are delightful pieces of infrastructure scattered throughout the city, little bites of excellence. Island Bay’s town centre is a standout. The protected intersection at Rongotai Road (New Zealand’s first, quietly opened without much fanfare) is surprisingly good. And certain sections of the Island Bay Cycleway, stretching from Waitangi Park to Shorland Park, are genuinely impressive.
But as a whole? It’s not yet a coherent network. The Island Bay Cycleway itself is emblematic of the larger picture; a patchwork of design approaches. I counted eight different styles of bus bypasses on that one route alone. It’s clear the project has evolved over time, shaped by compromise, innovation, and a fair bit of persistence. For the next phase of bicycle infrastructure, a uniform, predictable and coherent design approach will be important.
Still, the seeds of a world-class network are there. What Wellington needs now is the commitment to turn its cycling infrastructure from a collection of promising pilot projects into a fully integrated, fine-dining experience for people on bikes.
Interested in more of Lennart Nout’s New Zealand observations? Check out this interview with him about the exciting things happening in Auckland. For more on our services available in the Pacific, click here or reach out to Lennart Nout directly.